Sorry, no records were found. Please adjust your search criteria and try again.
Sorry, unable to load the Maps API.
Asking Price: $1,200,000.00
5,760 SF building + 0.5+- acre adjacent land parcel
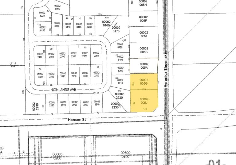
Prime industrial property at 3593 Veronica S Shoemaker, Fort Myers, FL. This offering includes a 5,760 SF industrial manufacturing warehouse, along with a ±1-acre combined parcel, which consists of the warehouse property and an adjacent ±0.5-acre parcel at the corner of Shoemaker Blvd and Hanson St.
Two (2) separate parcels; one featuring 5,750SF buildings, and an additional +_0.5 acre fenced yard.
Features include:
(4) four overhead doors (three electric + one manual)
Three phase power
Dedicated Office Space
Warehouse bays with ample room for storage, equipment, and workspace
Exterior includes generous parking and ingress/egress for businesses with trucks, trailers, or service vehicles
Located in a high-visibility area with easy access to major highways, this property is ideal for manufacturing, warehousing, or redevelopment. Whether you’re looking to expand your business or invest in a high-potential location, this property offers endless possibilities.
The building is currently occupied by an active business, no walk-in viewings, please schedule an appointment before viewing the property.



